Skip to main content

Hotel-Motel

Indio Hotel Site

44855 Golf Center Pkwy, Indio, CA 92201

Listing Price: $1,000,000

Number of Rooms
110
RevPAR
$109
Gross SF
16,974
Price/Room
$9,091
Price/Gross SF
$58.91
Year Built
2025

Investment Overview

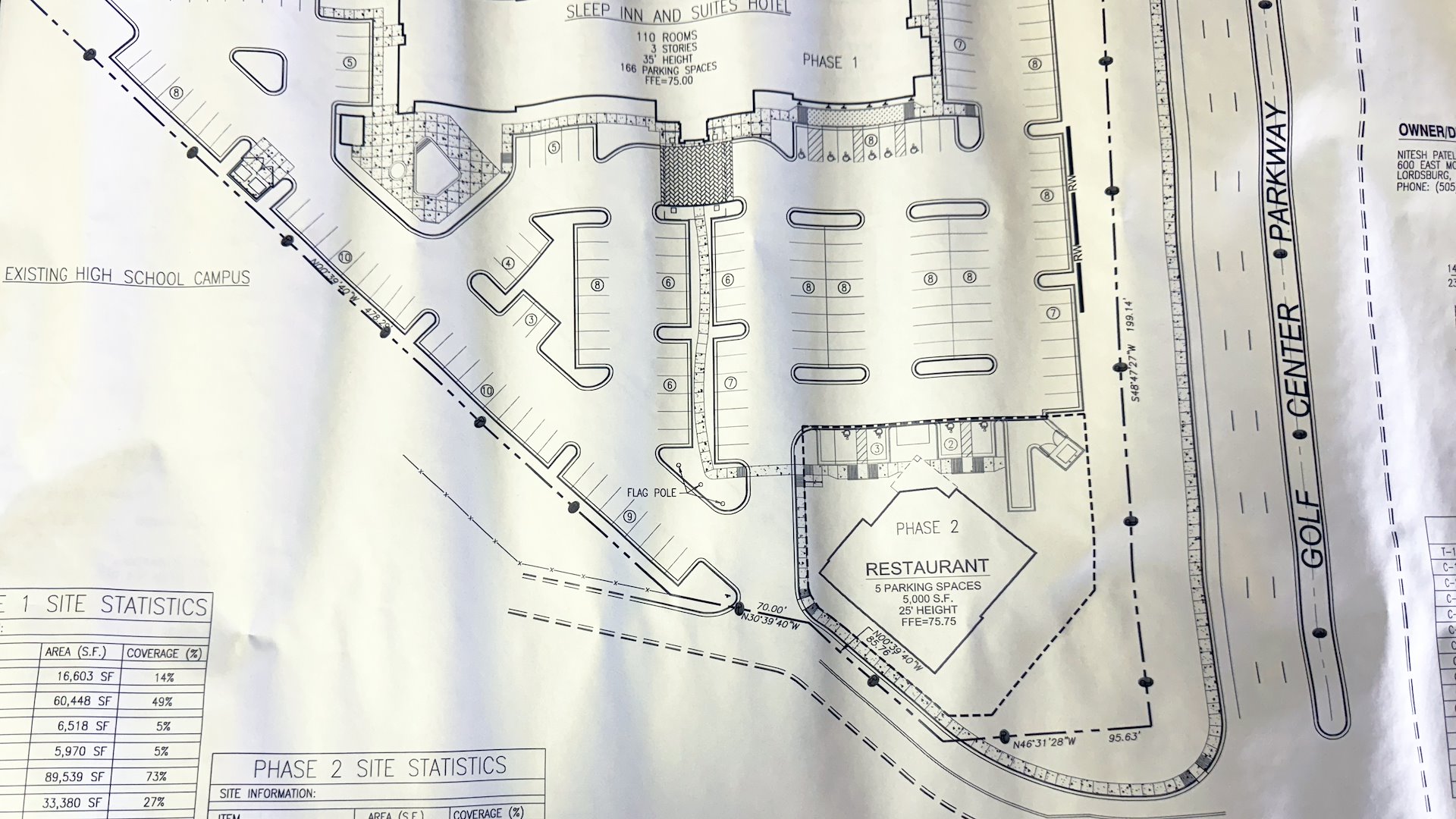
Marcus & Millichap has been chosen to exclusively market for sale a vacant commercial land 3.21-acre site for a hotel project along with a restaurant pad in Indio, California. The property can accommodate up to 110 interior-corridor guest rooms and a 5,000-square-foot restaurant pad, offering strong upside potential. The site zoning code is light industrial (IL), with lodging—extended stay, hotels, and motels—uses subject to an administrative use permit. The site can be used for several other commercial purposes; please verify with the City of Indio and its unified development code. The property was previously approved for a Choice-branded select-service hotel.

The Indio Hotel Site is strategically located near Fantasy Springs Resort Casino and Spotlight 29 Casino on I-10 at the Golf Center Parkway exit in Indio, California, at the eastern gateway of the Coachella Valley, offering direct access to Interstate 10—one of Southern California’s primary east–west transportation corridors. This prime location provides exceptional regional connectivity to Palm Springs, Palm Desert, and greater Southern California, while capturing strong drive-to demand from Los Angeles, Orange County, Phoenix, and surrounding markets. Indio serves as a major commercial and event hub for the valley, benefiting from steady tourism, festival-driven demand, and growing economic activity.

The Coachella Valley hosts some of the region’s most prominent annual events, including the BNP Paribas Open Tennis Tournament, the Coachella Valley Music and Arts Festival, and the Stagecoach Music Festival, which collectively attract hundreds of thousands of visitors each year. The site is in close proximity to the Empire Polo Club, Indio Fairgrounds, local casinos, and numerous outdoor and recreational attractions, while remaining within convenient driving distance of Downtown Palm Springs, Palm Springs International Airport, the Palm Springs Convention Center, and Joshua Tree National Park.

Our Pro Forma analysis assumes continued modest growth supported by increasing tourism, airport passenger counts, population, and demand growth in the Coachella Valley.

Investment Highlights

  • Branded Hotel to be Built in the Coachella Valley
  • The Sale Features a 5,000 SF Restaurant Pad, Offering Strong Upside Potential
  • High-Traffic Location off Interstate 10
  • 5 Miles to Empire Polo Club, Host of Coachella & Stagecoach Music Festivals (800,000+ Combined Attendees in 2025)
  • BNP Paribas Open Tennis Tournament with 500,000+ Attendees at Indian Wells Tennis Garden - Just 7 Miles from the Hotel
  • Minutes to College of the Desert, Two Medical Centers, El Paseo High-End Shopping District, and The Shops at Palm Desert Mall
  • 30-Minute Drive to Downtown Palm Springs, Palm Springs International Airport (3.2M+ Passengers in 2025) and Palm Springs Convention Center
  • Nearby Attractions Include Fantasy Springs Resort Casino, Eagle Falls Golf Course, and Coachella Valley History Museum

Exclusively Listed By

Financing By

Hotel-Motel

Indio Hotel Site

Listing Price: $1,000,000

Number of Rooms
110
RevPAR
$109
Gross SF
16,974
Price/Room
$9,091
Price/Gross SF
$58.91
Year Built
2025

Investment Highlights

  • Branded Hotel to be Built in the Coachella Valley
  • The Sale Features a 5,000 SF Restaurant Pad, Offering Strong Upside Potential
  • High-Traffic Location off Interstate 10
  • 5 Miles to Empire Polo Club, Host of Coachella & Stagecoach Music Festivals (800,000+ Combined Attendees in 2025)
  • BNP Paribas Open Tennis Tournament with 500,000+ Attendees at Indian Wells Tennis Garden - Just 7 Miles from the Hotel
  • Minutes to College of the Desert, Two Medical Centers, El Paseo High-End Shopping District, and The Shops at Palm Desert Mall
  • 30-Minute Drive to Downtown Palm Springs, Palm Springs International Airport (3.2M+ Passengers in 2025) and Palm Springs Convention Center
  • Nearby Attractions Include Fantasy Springs Resort Casino, Eagle Falls Golf Course, and Coachella Valley History Museum

Investment Overview

Marcus & Millichap has been chosen to exclusively market for sale a vacant commercial land 3.21-acre site for a hotel project along with a restaurant pad in Indio, California. The property can accommodate up to 110 interior-corridor guest rooms and a 5,000-square-foot restaurant pad, offering strong upside potential. The site zoning code is light industrial (IL), with lodging—extended stay, hotels, and motels—uses subject to an administrative use permit. The site can be used for several other commercial purposes; please verify with the City of Indio and its unified development code. The property was previously approved for a Choice-branded select-service hotel. The Indio Hotel Site is strategically located near Fantasy Springs Resort Casino and Spotlight 29 Casino on I-10 at the Golf Center Parkway exit in Indio, California, at the eastern gateway of the Coachella Valley, offering direct access to Interstate 10—one of Southern California’s primary east–west transportation corridors. This prime location provides exceptional regional connectivity to Palm Springs, Palm Desert, and greater Southern California, while capturing strong drive-to demand from Los Angeles, Orange County, Phoenix, and surrounding markets. Indio serves as a major commercial and event hub for the valley, benefiting from steady tourism, festival-driven demand, and growing economic activity. The Coachella Valley hosts some of the region’s most prominent annual events, including the BNP Paribas Open Tennis Tournament, the Coachella Valley Music and Arts Festival, and the Stagecoach Music Festival, which collectively attract hundreds of thousands of visitors each year. The site is in close proximity to the Empire Polo Club, Indio Fairgrounds, local casinos, and numerous outdoor and recreational attractions, while remaining within convenient driving distance of Downtown Palm Springs, Palm Springs International Airport, the Palm Springs Convention Center, and Joshua Tree National Park. Our Pro Forma analysis assumes continued modest growth supported by increasing tourism, airport passenger counts, population, and demand growth in the Coachella Valley.

Exclusively Listed By

Financing By

MM Texture Background
MM Textured Background Lower