Skip to main content

Industrial

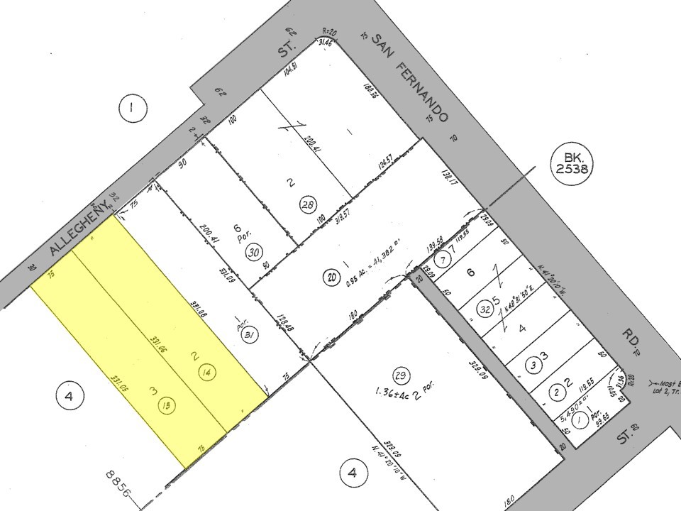
1.14 Acre M1-Zoned Industrial Yard

11942-11950 Allegheny St, Sun Valley, CA 91352

Listing Price: $5,290,000

Lot Size
1.14 acres
Price/Acre
$4,638,240
Land Type
Land

Investment Overview

Marcus & Millichap is pleased to offer for sale the ±1.14 acre industrial yard located at 11942-11950 Allegheny Street in the city of Sun Valley. This site is composed of two individual parcels of land with APNs #2631-003-014 & 015. The site is located on Allegheny Street just a block south of San Fernando Road and less than a mile north of the I-5 freeway.
The site is currently leased out to Best Trucking Services Inc. who has been a tenant since 2018. The term of their existing lease runs out in February of 2028 at which time they will have one single remaining 5-year option. Best Trucking is currently paying $0.29 per square foot for the land at this time (gross lease), however the 5-year option lease rate will be at “Prevailing Market Rates” which is going to be a significant increase if they decide to stay.
There are two small houses on the property which can be used as offices. The houses are 1,151 square feet and 719 square feet and they were built in 1947. There is also a newer 900 square foot structure on site that is used as a garage.
This property is flat and rectangular in shape with 150’ of frontage along Allegheny Street and a depth of 331. The site is fenced and fully paved and the one point of ingress/egress is along Allegheny Street.
Zoning on this site is [T][Q] M1-1-CUGU which is a Limited Industrial zoning classification. The General Plan Land Use is Limited Manufacturing. Height District 1 in the M1 zone allows for a FAR of 1.5:1 and does not indicate a height limit.
The subject property is surrounded by industrial buildings to the north and to the east along with several small to mid-sized multifamily buildings to the south along Allegheny Street. Directly across the street from the property is Allegheny Park which is a new city public park of 1.2 acres, and the Alliance 6-12 Charter Public School.
M1 industrial sites of 1+ acres are very difficult to find in the San Fernando Valley and the market is extremely supply-restricted. This property should be of great interest to both investors and users looking to find an industrial site with great access to a major freeway.

Investment Highlights

  • 1.14 Acres - Flat and Rectangular Industrial Site located in Sun Valley
  • Zoning is M1 (Limited Industrial), General Plan Land Use is Limited Manufacturing
  • Two Small Houses on the Site can be used as Offices - There is also a Garage Building
  • Current Tenant on Site through Feb 2028 - Tenant has One 5-Year Option at that time with rents set to "Prevailing Market Rates"
  • Site is located a block south of San Fernando Road and less than a mile north of the I-5 Freeway

Exclusively Listed By

Industrial

1.14 Acre M1-Zoned Industrial Yard

Listing Price: $5,290,000

Lot Size
1.14 acres
Price/Acre
$4,638,240
Land Type
Land

Investment Highlights

  • 1.14 Acres - Flat and Rectangular Industrial Site located in Sun Valley
  • Zoning is M1 (Limited Industrial), General Plan Land Use is Limited Manufacturing
  • Two Small Houses on the Site can be used as Offices - There is also a Garage Building
  • Current Tenant on Site through Feb 2028 - Tenant has One 5-Year Option at that time with rents set to "Prevailing Market Rates"
  • Site is located a block south of San Fernando Road and less than a mile north of the I-5 Freeway

Investment Overview

Marcus & Millichap is pleased to offer for sale the ±1.14 acre industrial yard located at 11942-11950 Allegheny Street in the city of Sun Valley. This site is composed of two individual parcels of land with APNs #2631-003-014 & 015. The site is located on Allegheny Street just a block south of San Fernando Road and less than a mile north of the I-5 freeway. The site is currently leased out to Best Trucking Services Inc. who has been a tenant since 2018. The term of their existing lease runs out in February of 2028 at which time they will have one single remaining 5-year option. Best Trucking is currently paying $0.29 per square foot for the land at this time (gross lease), however the 5-year option lease rate will be at “Prevailing Market Rates” which is going to be a significant increase if they decide to stay. There are two small houses on the property which can be used as offices. The houses are 1,151 square feet and 719 square feet and they were built in 1947. There is also a newer 900 square foot structure on site that is used as a garage. This property is flat and rectangular in shape with 150’ of frontage along Allegheny Street and a depth of 331. The site is fenced and fully paved and the one point of ingress/egress is along Allegheny Street. Zoning on this site is [T][Q] M1-1-CUGU which is a Limited Industrial zoning classification. The General Plan Land Use is Limited Manufacturing. Height District 1 in the M1 zone allows for a FAR of 1.5:1 and does not indicate a height limit. The subject property is surrounded by industrial buildings to the north and to the east along with several small to mid-sized multifamily buildings to the south along Allegheny Street. Directly across the street from the property is Allegheny Park which is a new city public park of 1.2 acres, and the Alliance 6-12 Charter Public School. M1 industrial sites of 1+ acres are very difficult to find in the San Fernando Valley and the market is extremely supply-restricted. This property should be of great interest to both investors and users looking to find an industrial site with great access to a major freeway.

Exclusively Listed By

MM Texture Background
MM Textured Background Lower