Skip to main content

Single-Family

5 Acres in Approved Master Planned Development

4920 Samo Ln, Fairfield, CA 94533

Listing Price: $2,500,000

Lot Size
5.00 acres
Price/Acre
$500,000
Land Type
Land

Investment Overview

.F I V E A C R E S of D E V E L O P A B L E L A N D
APPROVED TRANSIT ORIENTED MASTER PLANNED UNIT DEVELOPMENT
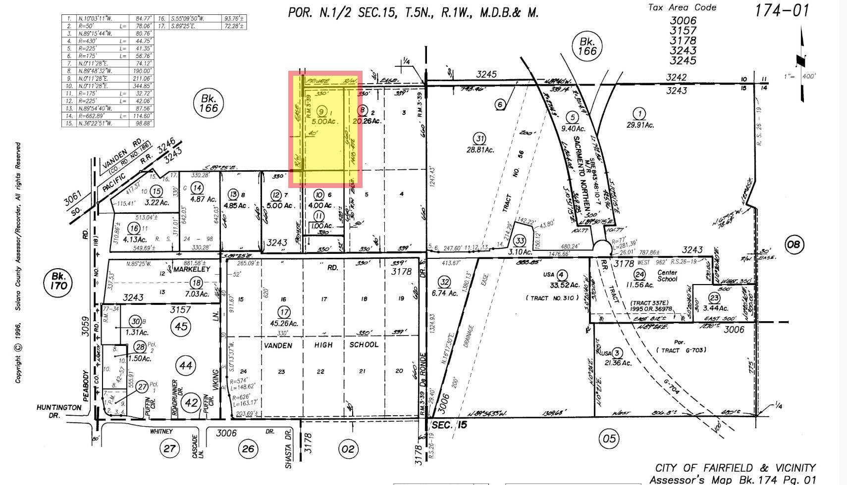
4920 Samo Lane, Fairfield, California 94533 / APN 0174-010-090


OVERVIEW

The subject property is an unimproved five-acre parcel of land located within the permitted, master-planned unit development known as the Train Station Specific Plan (“TSSP”) / Planning Area 3 in Fairfield, California. The overall size of Planning Area 3 is approximately 69 acres, and it is located immediately south of the new Fairfield-Vacaville Train Station. Notably, it is the only planning area that will provide a direct connection to the station.
Planning Area 3 (“PA3”) contains all or parts of fifteen separate parcels owned by six separate landowners. The TSSP Planning Area 3 has been allocated into three residential density zones:
Minimum Target Maximum Target
Units / Acre Units / Acre

Low-Density Residential (LR) 4 7

Medium Density Residential (MR) 10 14

High-Density Residential (HR) 20 28


The subject property is zoned for Medium Density Residential (MR) zoning within the TSSP. For the five acres of the subject site, the minimum target for the number of units to be constructed on the property is 50, a midrange of 70 units, with site currently allocated for 90 two-story condominium units, or 17.9 units per acre.
The new Fairfield/Vacaville Train Station (FVTS), was renamed as the Fairfield-Vacaville Hannigan (FFV). Thirty years before the first passenger stepped foot on a train at the corner of Peabody and Vanden Roads in Fairfield, lifelong public servant Tom Hannigan knew rail service connecting communities in Northern California would one day be a reality. In recognition of Hannigan’s forethought and championing the creation of the Amtrak-operated Capitol Corridor route, the newest stop along the corridor in Fairfield was renamed the “Fairfield-Vacaville Hannigan Station,” and the north/south street at the station will be renamed “Tom Hannigan Way.”

The Fairfield-Vacaville Hannigan is one of 18 along Amtrak’s 170-mile-long Capitol Corridor between Auburn/Sacramento and San Jose, CA. The FVTS is the focal point of transit-oriented development planned for northeast Fairfield over the next 20 years. TRC led a large multidisciplinary team for the construction of the new $38 million train station and Pe abody Road Overcrossing, which is one of the largest capital improvement projects in Fairfield’s history.

STATION DETAILS

Station Address: 4921 Vanden Road, Fairfield, California 94533
Staffed / Unstaffed Unstaffed
Ticketing No ticket kiosks
Station Connections Nearby Solano Express Red & Green Line & Napa Vine Route 21
Bicycle Access Bike racks at station platform / E-Bike lockers available & Bikes allowed inside trains
Automobile Parking Regular spaces on-site – 139 / ADA Handicap spaces on-site – 5
Amenities Outdoor seating areas and shelters

The subject property’s five acres is a short walk northeast of the Fairfield-Vacaville Hannigan train station platform access and an equally short walk to the new park area with attractive amenities for residents. The site is strategically located within the planned development and enjoys an 11.7-acre parcel to the southwest and another 2.8-acre parcel to the north to act as buffers between the subject property and train operations.

INVESTMENT HIGHLIGHTS

• 5-acre parcel strategically located within the transit-oriented 69-acre, approved master planned development in Fairfield, California.

• Wide range of approved densities from 50 to 90 units or more, with possible increased density allowance.

• Amenities within steps of the subject site include a planned public park with large open green space, a basketball court, multiple picnic seating and barbecue areas.









HELPFUL LINKS


CITY OF FAIRFIELD / TRAIN STATION SPECIFIC PLAN –
PA3 MPUD
CITY OF FAIRFIELD / ZONING & DEVELOPMENT STANDARDS –
https://www.fairfield.ca.gov/government/city-departments/community-development/planning-division/zoning-development-standards
CITY OF FAIRFIELD / ZONING & DEVELOPMENT STANDARDS –
https://www.fairfield.ca.gov/government/city-departments/community-development/planning-division/zoning-development-standards
AMTRAK / FAIRFIELD-VACVILLE TRAIN –
https://www.trccompanies.com/projects/amtrak-fairfield-vacaville-train-station/
https://www.amtrak.com/stations/ffv
https://www.capitolcorridor.org/stations/fairfieldvacaville/
WIKIPEDIA / FAIRFIELD-VACAVILLE TRAIN –
https://en.wikipedia.org/wiki/Fairfield%E2%80%93Vacaville_station

Investment Highlights

  • From 50 to 90 approved unit densities per acre.
  • Strategic location within 69 69-acre transit-oriented master planned development
  • .Site located a short walk to the main access to the train station platform.

Exclusively Listed By

Single-Family

5 Acres in Approved Master Planned Development

Listing Price: $2,500,000

Lot Size
5.00 acres
Price/Acre
$500,000
Land Type
Land

Investment Highlights

  • From 50 to 90 approved unit densities per acre.
  • Strategic location within 69 69-acre transit-oriented master planned development
  • .Site located a short walk to the main access to the train station platform.

Investment Overview

.F I V E A C R E S of D E V E L O P A B L E L A N D APPROVED TRANSIT ORIENTED MASTER PLANNED UNIT DEVELOPMENT 4920 Samo Lane, Fairfield, California 94533 / APN 0174-010-090 OVERVIEW The subject property is an unimproved five-acre parcel of land located within the permitted, master-planned unit development known as the Train Station Specific Plan (“TSSP”) / Planning Area 3 in Fairfield, California. The overall size of Planning Area 3 is approximately 69 acres, and it is located immediately south of the new Fairfield-Vacaville Train Station. Notably, it is the only planning area that will provide a direct connection to the station. Planning Area 3 (“PA3”) contains all or parts of fifteen separate parcels owned by six separate landowners. The TSSP Planning Area 3 has been allocated into three residential density zones: Minimum Target Maximum Target Units / Acre Units / Acre Low-Density Residential (LR) 4 7 Medium Density Residential (MR) 10 14 High-Density Residential (HR) 20 28 The subject property is zoned for Medium Density Residential (MR) zoning within the TSSP. For the five acres of the subject site, the minimum target for the number of units to be constructed on the property is 50, a midrange of 70 units, with site currently allocated for 90 two-story condominium units, or 17.9 units per acre. The new Fairfield/Vacaville Train Station (FVTS), was renamed as the Fairfield-Vacaville Hannigan (FFV). Thirty years before the first passenger stepped foot on a train at the corner of Peabody and Vanden Roads in Fairfield, lifelong public servant Tom Hannigan knew rail service connecting communities in Northern California would one day be a reality. In recognition of Hannigan’s forethought and championing the creation of the Amtrak-operated Capitol Corridor route, the newest stop along the corridor in Fairfield was renamed the “Fairfield-Vacaville Hannigan Station,” and the north/south street at the station will be renamed “Tom Hannigan Way.” The Fairfield-Vacaville Hannigan is one of 18 along Amtrak’s 170-mile-long Capitol Corridor between Auburn/Sacramento and San Jose, CA. The FVTS is the focal point of transit-oriented development planned for northeast Fairfield over the next 20 years. TRC led a large multidisciplinary team for the construction of the new $38 million train station and Pe abody Road Overcrossing, which is one of the largest capital improvement projects in Fairfield’s history. STATION DETAILS Station Address: 4921 Vanden Road, Fairfield, California 94533 Staffed / Unstaffed Unstaffed Ticketing No ticket kiosks Station Connections Nearby Solano Express Red & Green Line & Napa Vine Route 21 Bicycle Access Bike racks at station platform / E-Bike lockers available & Bikes allowed inside trains Automobile Parking Regular spaces on-site – 139 / ADA Handicap spaces on-site – 5 Amenities Outdoor seating areas and shelters The subject property’s five acres is a short walk northeast of the Fairfield-Vacaville Hannigan train station platform access and an equally short walk to the new park area with attractive amenities for residents. The site is strategically located within the planned development and enjoys an 11.7-acre parcel to the southwest and another 2.8-acre parcel to the north to act as buffers between the subject property and train operations. INVESTMENT HIGHLIGHTS • 5-acre parcel strategically located within the transit-oriented 69-acre, approved master planned development in Fairfield, California. • Wide range of approved densities from 50 to 90 units or more, with possible increased density allowance. • Amenities within steps of the subject site include a planned public park with large open green space, a basketball court, multiple picnic seating and barbecue areas. HELPFUL LINKS CITY OF FAIRFIELD / TRAIN STATION SPECIFIC PLAN – PA3 MPUD CITY OF FAIRFIELD / ZONING & DEVELOPMENT STANDARDS – https://www.fairfield.ca.gov/government/city-departments/community-development/planning-division/zoning-development-standards CITY OF FAIRFIELD / ZONING & DEVELOPMENT STANDARDS – https://www.fairfield.ca.gov/government/city-departments/community-development/planning-division/zoning-development-standards AMTRAK / FAIRFIELD-VACVILLE TRAIN – https://www.trccompanies.com/projects/amtrak-fairfield-vacaville-train-station/ https://www.amtrak.com/stations/ffv https://www.capitolcorridor.org/stations/fairfieldvacaville/ WIKIPEDIA / FAIRFIELD-VACAVILLE TRAIN – https://en.wikipedia.org/wiki/Fairfield%E2%80%93Vacaville_station

Exclusively Listed By

MM Texture Background
MM Textured Background Lower