Skip to main content

Commercial

Magnolia Village - Commercial Outparcels

Highway 544, Haines City, FL 33844

Listing Price: $1,720,000

Lot Size
7.49 acres
Price/Acre
$229,640
Land Type
Land

Investment Overview

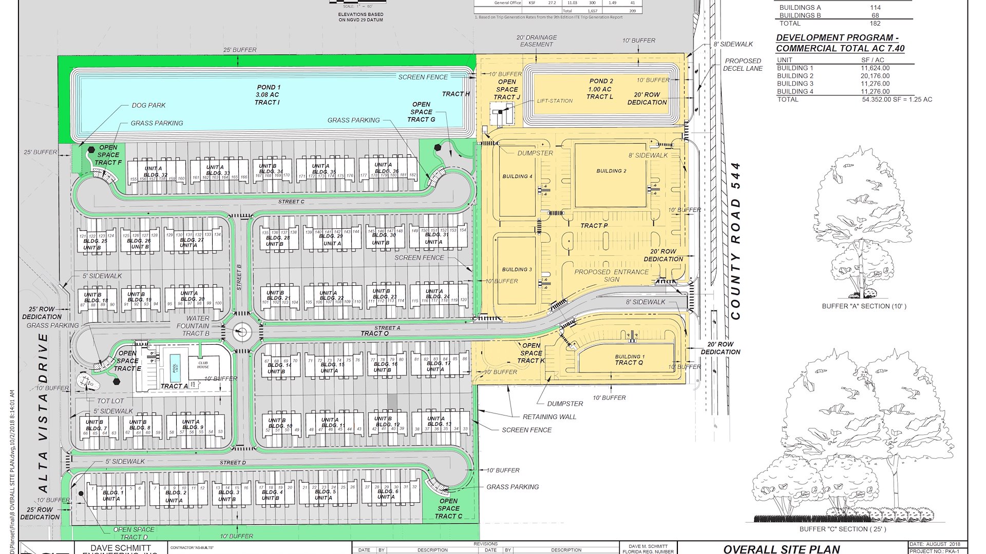
The offering consists of a 7.49-acre commercial assemblage located directly east of 1051 State Road 544 in Haines City, Florida. Priced at $1,720,000, the property presents a rare opportunity to acquire a cleared, development-ready site within one of Polk County’s most rapidly growing corridors. The land benefits from flexible commercial zoning, strong visibility, and convenient access along SR-544, making it well-positioned for a wide range of retail, service, medical, or mixed-use applications.

A key demand driver for the site is its immediate adjacency to a brand-new 182-unit townhome community currently under construction, which will deliver significant built-in traffic and a steady base of future customers. Beyond the immediate surroundings, Haines City continues to experience substantial population growth fueled by Central Florida’s expansion, increasing residential density, and rising consumer spending throughout the market. The property sits in the path of progress, supported by ongoing residential deliveries and expanding commercial activity.

With its combination of size, visibility, zoning flexibility, and proximity to new rooftops, this offering represents a compelling opportunity for developers, investors, or end users seeking a strategic commercial position within an accelerating growth market.

Investment Highlights

  • 7.49 contiguous acres of cleared, development-ready land with direct frontage along SR-544—ideal for retail, service, or mixed-use concepts seeking strong visibility and traffic flow
  • The property sits at the entrance of a 182-unit residential community currently under construction, providing a built-in customer base and steady daily trip generation upon completion.
  • Located in one of Haines City's fastest-growing residential and commercial corridors, surrounded by ongoing development, new housing, and expanding retail demand.
  • Haines City continues to benefit from Polk County's population boom, with significant in-migration and increasing household formation driving demand for nearby goods and services
  • Commercial zoning allows a wide range of development options—from retail pads to professional office to neighborhood-serving uses—offering flexibility for owner-users or developers.
  • Positioned just east of 1051 State Road 544 with easy ingress/egress, the site offers exceptional exposure and connectivity to major thoroughfares, trade areas, and nearby rooftops

Exclusively Listed By

Commercial

Magnolia Village - Commercial Outparcels

Listing Price: $1,720,000

Lot Size
7.49 acres
Price/Acre
$229,640
Land Type
Land

Investment Highlights

  • 7.49 contiguous acres of cleared, development-ready land with direct frontage along SR-544—ideal for retail, service, or mixed-use concepts seeking strong visibility and traffic flow
  • The property sits at the entrance of a 182-unit residential community currently under construction, providing a built-in customer base and steady daily trip generation upon completion.
  • Located in one of Haines City's fastest-growing residential and commercial corridors, surrounded by ongoing development, new housing, and expanding retail demand.
  • Haines City continues to benefit from Polk County's population boom, with significant in-migration and increasing household formation driving demand for nearby goods and services
  • Commercial zoning allows a wide range of development options—from retail pads to professional office to neighborhood-serving uses—offering flexibility for owner-users or developers.
  • Positioned just east of 1051 State Road 544 with easy ingress/egress, the site offers exceptional exposure and connectivity to major thoroughfares, trade areas, and nearby rooftops

Investment Overview

The offering consists of a 7.49-acre commercial assemblage located directly east of 1051 State Road 544 in Haines City, Florida. Priced at $1,720,000, the property presents a rare opportunity to acquire a cleared, development-ready site within one of Polk County’s most rapidly growing corridors. The land benefits from flexible commercial zoning, strong visibility, and convenient access along SR-544, making it well-positioned for a wide range of retail, service, medical, or mixed-use applications. A key demand driver for the site is its immediate adjacency to a brand-new 182-unit townhome community currently under construction, which will deliver significant built-in traffic and a steady base of future customers. Beyond the immediate surroundings, Haines City continues to experience substantial population growth fueled by Central Florida’s expansion, increasing residential density, and rising consumer spending throughout the market. The property sits in the path of progress, supported by ongoing residential deliveries and expanding commercial activity. With its combination of size, visibility, zoning flexibility, and proximity to new rooftops, this offering represents a compelling opportunity for developers, investors, or end users seeking a strategic commercial position within an accelerating growth market.

Exclusively Listed By

MM Texture Background
MM Textured Background Lower